欢迎来到苍南物流网!苍南物流信息化与商务门户龙头网站! 请登录 免费注册 忘记密码?
用户名: 密码: 验证码:
今天是:2025年10月29日 星期周三
当前位置 > 物流首页>物流资讯
紧急提醒!雷雨+雷暴+高温突袭珠海!“利奇马”最新信息……
发布时间:2019/8/13 9:33:47 分类:新闻资讯 浏览:201

重要提醒!

珠海市气象台于8月12日15时20分

发布珠海市雷暴预警信号。

请大家及时做好防御措施。

同时,珠海市高温橙色预警信号

也在生效中,

这是要下“开水”的节奏了!

又是雷暴预警,又是高温预警的,

其实这跟台风“利奇马”

有一定的关系。

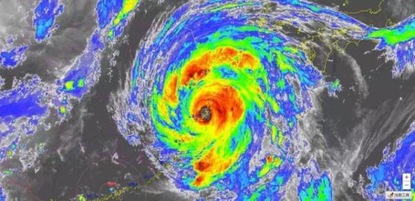
最近几天,全国上下都被

洪魔台风“利奇马”刷屏了。

这个台风的影响范围极其巨大,

7级大风范围直径有700-800公里,

几乎整个华东地区都受到大风波及。

比如在浙江台州市,

当时大风刮了一天一夜。

最严重的还是洪水,

比如在浙江临海市

就出现了超历史记录的洪水。

珠海距离“利奇马”那么远,

会受到影响吗?

答案是:有!间接影响!

首先,是台风外围的酷暑。

台风外围"空调外机"

吹得珠海热气沸腾,

导致前几天市区成片的37℃+

个别地方甚至超38℃

其次,是高空气流抖动下的阵雨。

"利奇马"让高空的气流弯曲变形,

形成2000公里幅度的剧烈抖动。

夏天主宰者副热带高压被赶跑,

广东的天气将变得不稳定,

特别容易诱发局地强雷雨天气。

根据珠海气象台的预报,

未来几天,

珠海受高空波动和西南气流的影响,

转为阳光阵雨相伴的天气。

而且由于前期天气炎热,

不稳定的能量宛如炸药桶,

一旦引爆,

容易形成雷雨大风等强对流天气!

新的一周,

酷暑炎热将暂告一段落。

在西南气流的主控下,

珠海天天都将有阵雨和雷阵雨

偶尔也会出现阳光,

“高烧”天气得到缓解。

大家要注意防范短时强降水、

短时大风和雷暴造成的不利影响。

 

苍南物流网(http://www.wz56w.com/),如有侵权可联系删除。如查找更多有关物流公司、线路信息,欢迎搜索关注“苍南物流网 龙港物流网”(cnthgg)微信公众号。

物流网推荐
  • 龙潮物流
  • 新疆

浙公网安备 33032702000212号